ΔΙΕΘΝΗΔιπλωματικό μέτωπο με Ν.Αφρική άνοιξε ένα tweet του Τραμπ
Οι αρχές κάλεσαν για εξηγήσεις την επιτετραμμένη των ΗΠΑ
23:09 - 23 Αυγουστου 2018
ΔΙΕΘΝΗΟι αρχές κάλεσαν για εξηγήσεις την επιτετραμμένη των ΗΠΑ
23:09 - 23 Αυγουστου 2018
ΔΙΕΘΝΗΠυρά εκατέρωθεν με φόντο τη ρωσική ανάμιξη στις εκλογές
22:23 - 23 Αυγουστου 2018
ΔΙΕΘΝΗΣτα 100 δις το εκατέρωθεν χαράτσι
18:56 - 23 Αυγουστου 2018
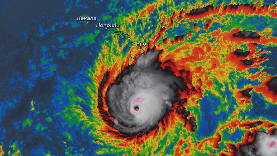
ΔΙΕΘΝΗΠρο των πυλών ο τυφώνας Λέιν
17:37 - 23 Αυγουστου 2018
ΔΙΕΘΝΗΣφίγγει ο κλοιός για τον αμερικανό Πρόεδρο μετά την κατάθεση του πρώην δικηγόρου του
15:50 - 23 Αυγουστου 2018
ΔΙΕΘΝΗ15:45 - 23 Αυγουστου 2018
ΔΙΕΘΝΗAνατριχίλα προκαλεί το βίντεο που έδωσαν στη δημοσιότητα οι αστυνομικές αρχές στις ΗΠΑ
11:50 - 23 Αυγουστου 2018
ΔΙΕΘΝΗΤον έκαψε ο πρώην δικηγόρος του
10:15 - 23 Αυγουστου 2018
ΔΙΕΘΝΗΣκληρή απάντηση από το γραφείο Ερντογάν μετά τις δηλώσεις Μπόλτον για τον πάστορα
07:18 - 23 Αυγουστου 2018